به گزارش خبرگزاری خبرآنلاین، حتی قبل از حرکت اکسپدیشن در ۳۰ سپتامبر ۲۰۲۲، تیم اوهارا، متصدی ارشد بی مهرگان دریایی موزه ویکتوریا (MV) پیش بینی کرد که یک یا دو مورد از موجودات عجیب و غریب در این منطقه کشف شود.
اوهارا گفت: "ما می دانیم که منطقه با کوه های دریایی عظیمی پوشیده شده است که در دوران دایناسورها شکل گرفته اند و می دانیم که منطقه در نقطه ای حساس بین اقیانوس آرام و اقیانوس هند قرار دارد."
وی در ادامه گفت:"ما واقعاً در مورد چشم انداز کشف گونه های جدید، شاید حتی شاخه های جدید درخت زندگی که تا کنون در زیر امواج این منطقه ناشناخته پنهان مانده اند، هیجان زده ایم."
محققان در مسیر خود به سمت مناطق پارک دریایی جدید که از ۷۴۰۰۰۰ کیلومتر مربع (حدود ۲۸۵۰۰۰ مایل مربع) اقیانوس در اطراف جزایر کوکوس کیلینگ و کریسمس محافظت خواهند کرد و مجموعه ای خیره کننده از ماهی های بالدار را مشاهده کردند که خود را به هوا پرتاب می کردند.
یی-کای تی، زیست شناس ماهی موسسه تحقیقات موزه استرالیا، در یک پست وبلاگی درباره این سفر توضیح داد که این حیوانات در معرض خطر شکار شدن توسط پرندگان دریایی گرسنه برای فرار از ماهی های بزرگتر هستند.
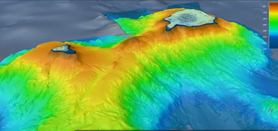
با استفاده از سونار، تیمهای کشتی تحقیقاتی (RV) Investigator در طول ۳۵ روز اکتشاف در سفر ۱۳۰۰۰ کیلومتری خود، از بستر دریا نقشهبرداری کردند و کوههای دریایی باستانی، مخروطهای آتشفشانی، درهها و برآمدگیها را کشف کردند. آتشفشان های خاموش ۱۴۰ تا ۵۰ میلیون سال پیش شکل گرفتند.
سونار نشان داد که جزایر کوکوس کیلینگ قلههای دوقلوی یک کوه دریایی عظیم هستند که نزدیک به ۵۰۰۰ متر از کف دریا بالا میآیند. سومین قله غرق شده نیز شناسایی شد که ۳۵۰ متر زیر سطح دریا قرار دارد.

خدمه گزارش دادند که پس از نمونه برداری از زیستگاه ها با تورهای ترال کوچک از عمق ۶۰ متری تا عمق ۵۵۰۰ متری زیر سطح، گنج بزرگی از گونه ها را جمع آوری کردند.
اوهارا تخمین می زند که یک سوم این گونه ها ممکن است برای علم جدید باشند. این شامل یک نوع بالقوه جدید از مارماهی کوسک کور با پوستی شل و شفاف است.

این ماهیها واقعاً چشمهایشان نابینا شده است. در واقع، اگر تصویر را ببینید، متوجه میشوید که آنها مانند فرورفتگیهای طلایی کوچکی در پوست هستند. آنها واقعاً پوست شل و ژلاتینی دارند و بهطور باورنکردنی کمیاب هستند.
سپس خفاش ماهی شایان ستایش در اعماق دریا است. این موجود کوچک عجیب و غریب راه خود را در امتداد بستر دریا روی پاهای بالهای کوچک با «پاهای» بزرگ پیدا میکند.

ماهیهای نامبرده شده تنها نمونه بسیار اندکی از موجودات دریایی ناشناخته را تشکیل میدهند.
۲۲۷۲۲۷







نظر شما